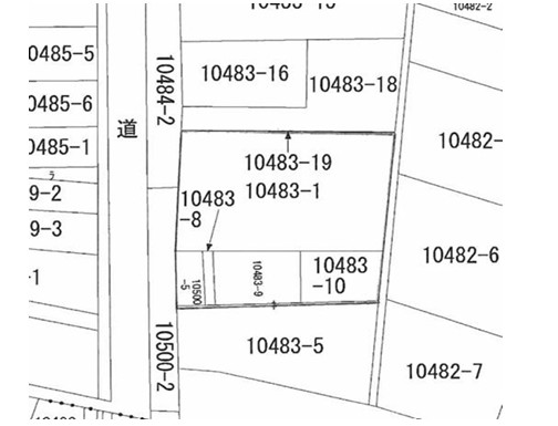
呉市広横路1丁目
所在地 : 呉市広横路1丁目
土地面積 : 154.27㎡ (46.67坪)
土地情報
| 所在地 | 呉市広横路1丁目 | 土地面積 | 154.27㎡ (46.67坪) |
|---|---|---|---|
| 価格 | 990万円 | 登記地目 | 宅地 |
| 現状 | 倉庫有 | 用途地域 | 第一種住居地域 |
| 学校区 | 横路小学校・横路中学校 | ||
| 団地名 | -- | 接道幅員 | 南東 約10m |
|---|---|---|---|
| 建ぺい率 | 60% | 容積率 | 200% |
| 設備 | 水道:公営 トイレ:公共下水 ガス:個別プロパン |
条件 | 建築条件無し |
| 販売形態 | 媒介 | ||
| 周辺環境 | -- | ||
| 備考 | -- | ||
| 最終更新日 | 2025/10/25 | ||
あなたにおすすめの物件
東広島市高屋町高屋東
176.48㎡
東広島市志和町奥屋
166.00㎡
東広島市八本松町原
334.49㎡
呉市東中央2丁目
94.88㎡
広島市安佐南区長束西
175.69㎡
東広島市西条町御薗宇土地
243.80㎡
東広島市東区牛田東4丁目
229.06㎡
東広島市黒瀬町小多田
349.00㎡
広島市安芸区瀬野1丁目22-13
1.32㎡
呉市広本町3丁目3-11
427.63㎡
呉市焼山東2丁目15-5
237.83㎡